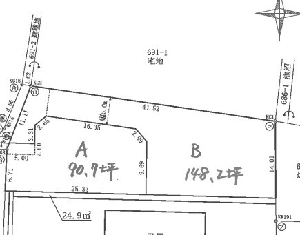
- 土地面積(坪数)
- 300.00㎡(90.74坪)
- 建ぺい率 / 容積率
- 70% / 200%
現地案内会
- ※事前に必ずお問い合わせください
- ー☆ー土地購入ご検討中の方へー☆ー
///
◆事務所への”来店不要”です!直接見たい物件集合・現地解散で対応します/
◆同じ物件でも、2度3度内覧して購入しましょう/
◆住宅ローンの手伝いも得意です!手続きも全て同行します!
\\\
──────────────────────
”やりとりは全てメールやLINEでご対応を推奨”
電話に抵抗のある方や忙しい方、夜しか対応できない方でもメッセージで残るからやり取りがスムーズだと好評いただいています/
──────────────────────
弊社では
メリットもデメリットも正直にお伝えするように心がけております。
安心して家探しにじっくり向き合えます!
希望条件など固まっていなくても大丈夫です!
物理的に損のない家の買い方をお伝えします!
ー☆ー住宅ローンに強い会社を選ぶべきー☆ー
◆借金がまだある
◆勤続年数が1年もなく短い
◆年収が少ない
◆頭金がない
◆携帯料金やカードの支払を遅延したことが過去にある
◆派遣社員、契約社員、パートの方
◆シングルマザー、ファザーの方
◆他社で融資を断られた
◆内緒の借り入れがある
◆賢いローンの組み方をプロから教わりたい
実績を積んでいる営業が適切な銀行とマッチングをお手伝い!
ーー☆ー見学予約受付中ー☆ーー
「資料請求」ボタン(無料)をクリック♪
➡メールで見学希望日時をお伺いいたします!!
◇その他お問い合わせ方法はコチラ◇
・本日見学希望……電話で問い合わせ 027-212-4896
・LINEで資料請求……友達追加(ID) @014rewmq
・メール……info@maebashi-minami.jp
セールスポイント
///
◆上川淵小学校/明桜中学校
◆物件情報は隠すことなく全て公開します◎
◆同じ物件を何度でも見学可能です◎
◆やり取りはメールかLINEを推奨◎
◆転勤がないのでずっと同じ担当者◎
◆一組ずつ丁寧に対応致します◎
◆質問し放題の敷居の低い不動産屋◎
◆仲介物件(ネットに掲載されているほぼ全て)は弊社を通しても購入ができます◎
\\\
ポイント
担当者のコメント
基本情報
- 販売区画数
- -
- 総区画数
- -
- 土地面積(坪数)
- 300.00㎡(90.74坪)
- 坪単価
- 9.92万円
- 私道負担面積
割合 -
-
- セットバック
- 要
- 建ぺい率 /
容積率 - 70% / 200%
- 高圧線下面積
- -
- 傾斜地部分面積
- -
- 路地状敷地
- -
- 地目
- 宅地
- 地勢
- 平坦
- 造成工事
完了予定 - -
- 土地権利
- 所有権
- 建築条件
- 無
- 都市計画
- 市街化調整区域
- 用途地域
- 無指定/無指定
- 接道状況
- 一方(西 間口 4.0m)
- 国土法届出要否
- 不要
- 最適用途
- 住宅用地
- その他
法令上の制限 - -
- 取引態様
- 仲介
- 現況
- 更地
- 引渡条件
- 現況渡
- 引渡時期
- 相談
- 取引条件の
有効期限 - 2025年11月24日
設備条件
- 設備条件
-
- 陽当り良好 / 閑静な住宅地 / 現地案内会 / 専用庭 / プロパンガス / 公営水道 / 浄化槽排水
- 設備(その他)
-
-
-
その他
- 物件番号
- 84671645
- 管理コード
- -
- 情報更新日
- 2025年11月10日
- 次回更新予定日
- 2025年11月24日
- 備考
- 上川淵小学校/明桜中学校
●〇●〇●〇●〇●〇●〇●
上水道:宅内引込無し
排水:浄化槽
ガス:PG
上物:なし
その他:開発許可・水路占用許可要
●〇●〇●〇●〇●〇●〇●
周辺施設
-
小児科
ほんま小児科
408m(6分)
-
郵便局
前橋佐鳥郵便局
470m(6分)
-
保育園
前橋市立上川淵保育所
560m(7分)
-
警察
前橋東警察署 上佐鳥駐在所
653m(9分)
-
塾
ECCジュニア 六供町1丁目教室
845m(11分)
-
内科
えんどう内科クリニック
859m(11分)
-
小学校
上川淵小学校
873m(11分)
-
図書館
前橋工科大学附属図書館
878m(11分)
-
スーパー
フレッセイ 朝倉店
1312m(17分)
-
家電製品
ヤマダ電機 テックランド 前橋朝倉店
1326m(17分)
-
コンビニエンスストア
ローソン 前橋六供町店
1492m(19分)
-
ショッピングセンター
前橋朝倉モール
1552m(20分)
-
総合病院
前橋協立病院
1554m(20分)
-
整形外科
ほしの整形外科クリニック
1575m(20分)
-
総合病院
前橋赤十字病院
1661m(21分)
-
コンビニエンスストア
セブンイレブン 前橋朝倉町南店
1712m(22分)
-
保育園
あゆみ保育園
1793m(23分)
-
スーパー
ヤオコー 前橋六供店
2004m(26分)
-
中学校
明桜中学校
2061m(26分)
-
スーパー
Aコープ JAファーマーズ朝倉町店
2235m(28分)
支払いシミュレーション
- 月々の支払額
- 9.6円
- 購入希望物件価格
-
万円
- 頭金
-
万円
- 金利
-
%
- 返済額(ボーナス1回分)
-
万円
- 返済期間
-
年
※ボーナスは自動で年2回分で計算されます。
近隣の物件
【土地】前橋市上佐鳥町
900万円
-(300.00㎡)

うるしはら りな
■事務所への”来店不要”です!直接見たい物件集合・現地解散でご対応します/
■他社様で掲載されている物件もほぼ取扱い・ご案内可能です/
■同じ物件でも、何度でも内覧して納得して購入しましょう/
■住宅ローンも納得できるまで一緒に比較検討していきましょう!
■やりとりは全てメールやLINEでご対応しております!
\\\
【前橋みなみ不動産に問い合わせるメリット】
■グーグルやHPに口コミ多数◎不動産屋選びの参考に/
■女性目線・男性目線どちらもの意見を反映しやすい◎
■担当者が転勤や転職で変わってしまう心配なし◎
■少数精鋭だから個人情報が多くの人に知られる心配なし◎
■同じ物件を何度見ても嫌がりません/
■私たちはお客様への無理な営業活動を嫌います
(期待以上のサービスを提供できるように心掛けております)
■宅地建物取引士、住宅ローンアドバイザー、ファイナンシャルプランナー、不動産キャリア10年の資格・経験を活かしたご提案を心掛けます!
※ネットに掲載されている物件ほとんどは弊社を通しても購入ができます!
\安心してください、私たちが全力で味方になりますよ/